The Lehigh Slate Company Mantel Factory, constructed by the Lehigh Slate Company circa 1859 in Slatington, Lehigh County, Pennsylvania, was an industrial building erected for the manufacturing of various slate products, such as mantels, vaults, billiard table tops, counter-tops, flagging, blackboards, electrical insulators, etc. This mantel factory is the only surviving slate manufacturing structure from the formative years of the slate industry in the Slate Belt region of Upper Lehigh and Upper Northampton counties. The building is currently owned by the Mantz family.
Documents
Some Ads for the Lehigh Slate Company:
- The Lehigh Slate Company (1871)
- The Old Lehigh Slate Company (1892)
Some aerial images
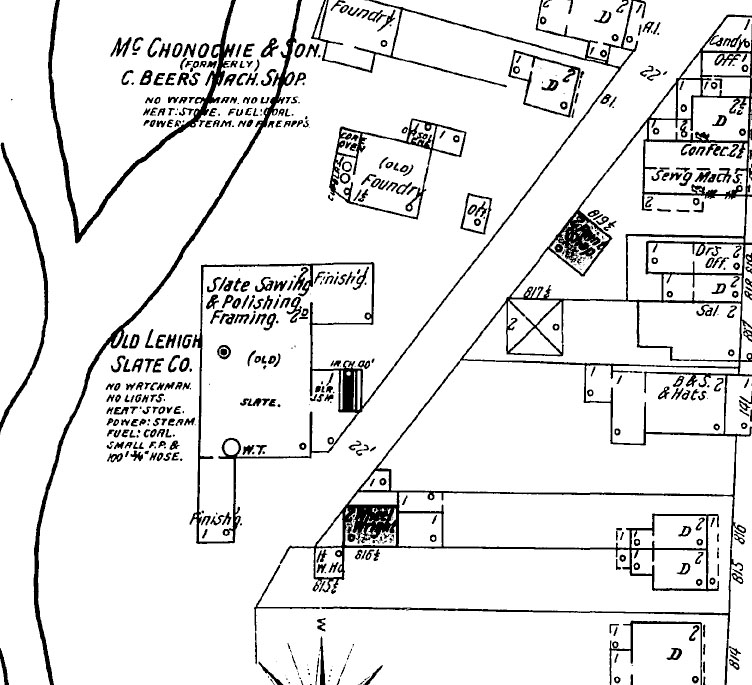
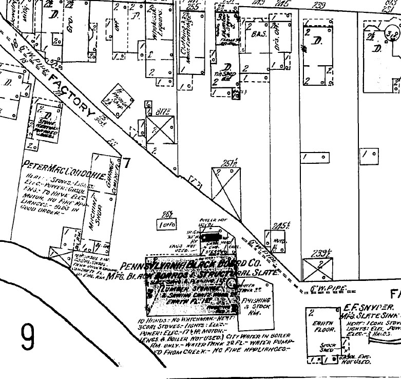
Excerpts from Sanborn Fire Insurance maps
Some maps
- 1864 draft map that accompanied the petition for incorporation of the borough of Slatington
- 1876 map from the New Illustrated Atlas of Lehigh County, Pennsylvania (1876)
The site
- Lehigh County tax parcel map of the immediate area of the Mantel Factory
- Building dimensions
- Floor plan of ground floor
Some additional images
- Pennsylvania Blackboard Company
- Ground floor
- First floor
- Interior graffiti